Forchies-la-Marche 6141
99 000 €
100 € / m2

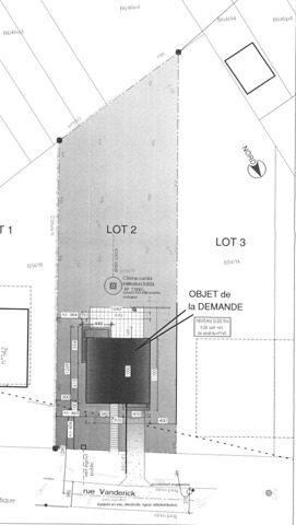
🏡 L’agence immobilière KIMMO vous présente ce terrain à bâtir avec projet de maison 4 façades idéalement situé Rue Vanderick à Forchies-la-Marche (Fontaine-l’Évêque).
📐 La parcelle développe 9 ares 87 centiares, avec une largeur de façade de 18,40 m et une profondeur de 53,64 m, offrant de belles possibilités de construction.
✨ Le grand plus ? Ce terrain est vendu avec projet d’une maison 4 façades, un atout rare pour concrétiser rapidement votre futur foyer sans perdre de temps dans les démarches.
🌳 Niché dans un cadre calme et verdoyant, il représente une opportunité idéale pour une famille souhaitant construire sa maison clé sur porte ou pour un investisseur en quête d’un projet solide.
ℹ️ Plans et informations disponibles sur 🌐 www.kimmo.immo.
💶 Prix indicatif frais d'agence non-inclus : 99.000 €
💼 Frais d’agence : 3,63 % TVAC (min. 6.655 € TVAC)
💶 Prix indicatif frais d’agence inclus : 105.655 €
📞 Contact agence
Agence KIMMO – 071 77 28 38 – info@kimmo.immo
⚖️ Annonce à titre informatif et non contractuel.
⚖️ L’agent immobilier ne prend aucune décision sur les offres reçues.
✨ KIMMO, Plus Que Des Mots !
Revenu cadastral (€)
10 €
Attestation du sol
Non
Affectation urbanistique
zone d'habitat
Jugement en cours
Non
Permis de bâtir
Non
Permis de lotir
Non
Droit de préemption
Non
Type d'intimation
pas de correction juridique ou mesure administrative imposée
Type d'environnement
calme
Risque d'inondation
pas situé en zone inondable